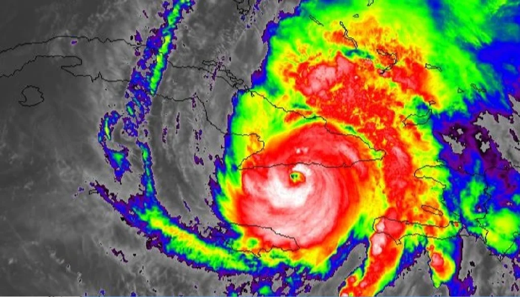
As Hurricane Melissa’s approach drives rising river levels and triggers landslides in Cuba’s eastern provinces, the town of El Cobre in Santiago — where 17 people remain stranded — reports no casualties, confirmed Dr. Lionnis Franco, one of those affected. The hurricane is expected to make landfall at Santiago de Cuba. RELATED: Díaz-Canel calls on […]
From teleSUR English via This RSS Feed.
You must log in or # to comment.

