Abolish Capital!
  • Communities
  • Create Post
  • Create Community
  • heart
    Support Lemmy
  • search
    Search
  • Login
  • Sign Up
rssMB to Green & indigenous News · 12 hours ago

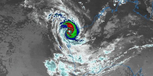
Cyclone Narelle is now larger and 'more severe' as it crosses the Western Australian coast

phys.org

external-link
message-square
0
link
fedilink
3
external-link

Cyclone Narelle is now larger and 'more severe' as it crosses the Western Australian coast

phys.org

rssMB to Green & indigenous News · 12 hours ago
message-square
0
link
fedilink
Severe Tropical Cyclone Narelle continues to amaze us with its long journey across northern Australia. This cyclone began life near the Solomon Islands on March 16, when moist air rose rapidly and created a low-pressure zone.

Severe Tropical Cyclone Narelle continues to amaze us with its long journey across northern Australia. This cyclone began life near the Solomon Islands on March 16, when moist air rose rapidly and created a low-pressure zone.


From Earth News - Earth Science News, Earth Science, Climate Change via This RSS Feed.

alert-triangle
You must log in or # to comment.

Green & indigenous News

ecosocial

Subscribe from Remote Instance

You are not logged in. However you can subscribe from another Fediverse account, for example Lemmy or Mastodon. To do this, paste the following into the search field of your instance: !ecosocial@news.abolish.capital
lock
Community locked: only moderators can create posts. You can still comment on posts.

A community for Green & indigenous news!

Visibility: Public
globe

This community can be federated to other instances and be posted/commented in by their users.

  • 75 users / day
  • 291 users / week
  • 677 users / month
  • 1.39K users / 6 months
  • 2 local subscribers
  • 159 subscribers
  • 4.25K Posts
  • 275 Comments
  • Modlog
  • mods:
  • rss
  • Salamence@lemmy.zip
  • RedWizard
  • Salamence@mander.xyz
  • BE: 0.19.15
  • Modlog
  • Instances
  • Docs
  • Code
  • join-lemmy.org