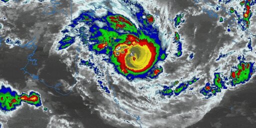
Tropical Cyclone Narelle is currently a very dangerous Category 5 storm, sitting off the Far North Queensland Coast some 350 kilometers northeast of Cooktown. Formed in the Coral Sea, Narelle is packing a punch, with sustained winds near the center of 205km per hour and wind gusts to 285km per hour.
From Earth News - Earth Science News, Earth Science, Climate Change via This RSS Feed.
You must log in or # to comment.


